Southside School on Parkinson Road already has fencing around schoolyard
Ste Marguerite Bourgeoys also to receive more classrooms soon
By
Mark Schadenberg
Three
schools in Woodstock are bursting at the seams and it appears two in that trio
will soon receive expansions.
As
the rocker Meatloaf must belted out – Two Out Of Three Ain’t Bad.
Losing
out in this round of new bricks and mortar appears to be Roch Carrier French
Immersion, which is the previous Hillcrest school at Belgrave and Cromwell
streets.
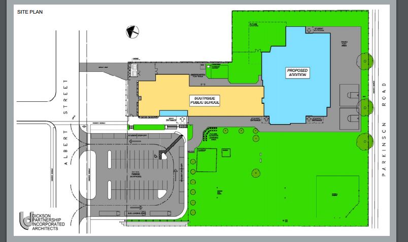
In
the south end of Woodstock between Albert Street and Parkinson Road, the
Southside School is receiving several brand new classrooms, a new gymnasium,
and more learning spaces – an addition
which likely should have happened five years ago as streets like Champlain and
Frontenac – all with young families -- have
appeared near the new hospital.
Drawings
of the Southside expansion are included here, and the digging and concrete
trucks will not be far away as the school yard is already fenced off. According
to items I discovered online, Southside was built in 1956.
In
Woodstock, several schools have closed in recent times – Princess, Victoria,
Broadway, and Chapel in the Thames Valley public board, and St. Rita’s, St.
Joe’s, and St. Mary’s in the separate system.
Meanwhile,
after years of residential growth south of Parkinson a permanent addition is
finally arriving at Southside after a lengthy time of having (what appears to
be) half the school’s classrooms in portables.
If
you do not have children attending Southside you can still read the school’s
newsletters online as they offer updates to parents, which included an open
house meeting to look at the architect plans. If appears to be exciting times
at Southside School.
More SOUTHSIDE SCHOOL Drawings
ECOLE
STE MARGUERITE BOURGEOYS
At
the opposite end of Woodstock, the French-only school, which is combined as
both Notre Dame high school (Grades 7 - 12) and a JK-6 elementary Marguerite
Bourgeoys school is already crowded after opening its doors in 2011 on Bristol
Avenue at the east end of Devonshire. Currently, the school has a portable-pack
with 5 classrooms and an additional 6 individual portables, so that campus is
receiving a 2-storey addition soon with drawings already circulated via the
school’s Facebook page and parent-teacher association meetings.
With
the school already featuring a large double gym and a second gym/cafeteria, the
addition will be 8 classrooms.
Naturally,
it’s impossible to receive funding for a new school based on anticipated (or a
future hopeful level of) population, as Marguerite Bourgeoys is an example of a
terrific success story as it educates children in a French-only environment and
in the process is creating fully bilingual students.
I
believe it’s unfortunate that the school’s management didn’t convert the
previous location on Huron Street and convert it into the high school, but that
building has since been sold and torn down, including the modern gymnasium
there. A proposed subdivision of low density residential is now on the drawing
board.
NORTH
WOODSTOCK
In
the north end of Woodstock there is a somewhat reversal of fortunes as children
in the Sally Creek and Alder Grange subdivisions ride a bus northward to
Hickson Public School. Eventually, and it will be sooner rather than later, the
Thames Valley public school board will have to accommodate the expanding
north-of-Pittock area with a new school.
There
is a link below to a story noting that as many as 300 schools across the
province could be closed based on results of accommodation reviews.
In
Oxford, Princeton and Beachville no longer have K-8 schools, while both
Ingersoll and Tillsonburg have seen shifts in school populations including the
new Laurie Hawkins school in Garnet Elliott Park.
There
are obviously hundreds of former tiny rural schools scattered around the
province which have been converted into homes.
LINKS:
http://www.cscprovidence.ca/
http://www.cscprovidence.ca/
August 2015:
http://markroyallepage.blogspot.ca/2015/08/more-portables-added-to-french-school.html
Mark Schadenberg, Sales
Representative
Senior Real Estate Specialist
(SRES designation)
Royal LePage Triland Realty
Independently Owned & Operated, Brokerage
757 Dundas St, Woodstock
(519) 537-1553, cell or text
Email: mschadenberg@rogers.com
Twitter: markroyallepage
Facebook: Mark Schadenberg, Royal LePage Triland
Discussion . . . Direction . . . Determination . . .
Destination













